Kolonia Dąbrowa

gmina Łaskarzew, powiat garwoliński, województwo mazowieckie

Typ miejsca

Nieużytek/łąka

Informacje nt. zbrodni

Do Kolonii Dąbrowa w gminie Łaskarzew pojechaliśmy po raz pierwszy w 2014 r. na zaproszenie lokalnych działaczy społecznych. Na miejscu usłyszeliśmy historię rodziny Proczków, która została zamordowana za pomoc udzielaną Żydom. Bardzo obszernej relacji zdarzeń, które rozegrały się w gospodarstwie Proczków 9 grudnia 1942 r. udzieliła telefonicznie wnuczka Tomasza Proczka, zamordowanego wraz z żoną i trójką dorosłych dzieci:

“Było ich dwóch [Żydów], przechowywali ich moi dziadkowie. Oni byli prawdopodobnie zaprzyjaźnieni, z tego co mama mi mówiła, to byli szewcy. I że był to ojciec z synem. Jeden był starszy, jeden był młodszy. Ale ich nazwisk to nikt nie wiedział, bo to była tajemnica. To nawet moja ciocia, która przeżyła, która była u koleżanki wtedy, też nie wiedziała. A moi rodzice po prostu przeżyli, bo mieszkali tam niezameldowani, nie byli na liście. […] Nie wiem jak długo się ukrywali, to był czterdziesty drugi rok, grudzień, dziewiątego grudnia to się stało, ale to było w momencie, chyba jak getto założyli w tym Łaskarzewie [getto w Łaskarzewie powstało w listopadzie 1941 r.], i albo oni po prostu nie dali się zamknąć tam w tym getcie, albo po prostu uciekli z tego getta. Nie wiem jak to było, bo to była, wie pan, tajemnica. 

Było to tam przygotowane [kryjówka], bo tam podobno od studni był zrobiony jakiś przekop do stodoły, i tam w stodole, gdzieś tam jakieś miejsce było zrobione i oni tam sobie byli. I z tego wiem, że szewcy byli, bo zrobili mojemu wujkowi, temu najmłodszemu, który zginął, dziewiętnaście lat, oficerki, tu właśnie oglądałam zdjęcie, na krótko przed śmiercią zrobione zdjęcie w tych oficerkach właśnie. I jak wrócił [najmłodszy syn Tomasza Proczka, Stanisław], bo on też był poza domem, bo on był w partyzantce. I po prostu wszedł rano do domu, a oni już byli otoczeni, nie mogli zawiadomić go, widzieli go, jak szedł tam tą drogą do domu i nie mogli go tam zawiadomić po prostu… No i naszedł na to wszystko. […]

A jak było z tymi Żydami? Ich oczywiście najpierw wyprowadzili, tych dwóch Żydów i mama opowiada, że zaczęli się nimi bawić. Kazali im uciekać. I mówi, tak im strzelał z pistoletu, pod nogi.. I mówi, ten starszy tak szedł, a ten młodszy dał dyla, jak to się popularnie mówi, ponieważ on trochę znał ten teren, bo on w nocy sobie wychodził stamtąd. Bo mama mówi, nieraz go tam widziała, jak po polach, no po prostu jak młody człowiek, musiał gdzieś tam na powietrze wyjść i pobiegać. Tam był rów z wodą, gdyby dobiegł do tego rowu z wodą, to by wskoczył tam i do lasu niedaleko by uciekł, ale zaczęli z tej obstawy tak strasznie strzelać, no i zabili go tam na tym polu. Tego ojca wcześniej, tego później.” (luty 2014)

Dysponujemy również pisemną relacją najmłodszej córki Tomasza Proczka,wówczas dwunastoletniej Aleksandry, która feralnego dnia była poza domem:

“Jeden Żyd uciekał w kierunku gajówki, do lasu, został zabity i tam pochowany. Natomiast drugi Żyd uciekał w kierunku majątku Uścieniec i tam został pochowany” (list nie datowany)

Lokalizację jednego z grobów potwierdziła w pisemnym oświadczeniu mieszkanka gminy Łaskarzew Natalia K. złożonym w obecności Sekretarza Gminy Łaskarzew w sierpniu 2014 r. .:

“W Kolonii Uścieniec, gmina Łaskarzew, między lasem państwowym a działkami podworskimi, pod gruszą, ok. 500 m od drogi Łaskarzew-Żabieniec znajduje się pojedynczy grób żydowskiego mężczyzny zamordowanego w grudniu 1942 r. Był wraz z innym Żydem ukrywany przez rodzinę Tomasza Proczka w Kolonii Dąbrowa.”(7.08.2014 r.)

 

Upamiętnienie

Miejsce grobu zostało oznaczone drewnianą macewą w 2020 roku ramach projektu “Punkty Odniesienia – oznakowanie 24 żydowskich grobów wojennych drewnianymi macewami.”. Punkty odniesienia” to próba znalezienia sposobu na znakowanie odnalezionych mogił, zanim możliwe będzie ich upamiętnienie. Działanie ma na celu drobną ingerencję w krajobraz tych miejsc, która przypominałaby o tym, co w nim niewidoczne, a często obecne w pamięci lokalnych społeczności. Będąc jedynie tymczasowym upamiętnieniem, drewniane macewy mają otwierać możliwość przejęcia przez lokalne społeczności opieki nad tymi miejscami, oswojenia ich, a być może także uruchomienia własnych, związanych z nimi praktyk lub trwałego ich upamiętnienia. 

Więcej o projekcie można przeczytać tutaj: https://tinyurl.com/muknnyd6

Projekt  “Punkty Odniesienia – oznakowanie 24 żydowskich grobów wojennych drewnianymi macewami. ” był realizowany dzięki dofinansowaniu Stowarzyszenie Żydowski Instytut Historyczny oraz  The Matzevah Foundation.


Identyfikacja grobu na podstawie nieinwazyjnych badań.

W dniu 29.07.2013 r. przeprowadzono wizję lokalną w miejscu wskazanym przez świadka (GPS: N51°48.352′ E021°29.722′) w celu określenia lokalizacji pojedynczego grobu mężczyzny. Według opisu, miejsce pochówku znajduje się tuż przy starym drzewie (grusza), które wyraźnie wyróżnia się na tle innych drzew i krzewów rosnących w tej lokalizacji.

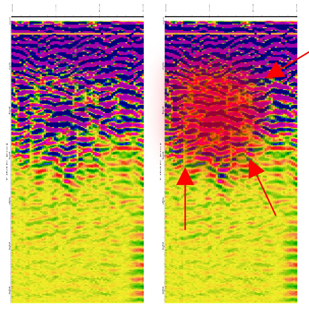
W miejscu określonym jako grób przeprowadzono badania z użyciem georadaru. W przypadku tej lokalizacji obszar badań jest mocno ograniczony. Długość profilu georadarowego wynosi tylko 3 mb, co utrudnia interpretację. Pomimo ograniczeń przestrzeni zarejestrowano anomalię (echogram – LASK0005), która z wysokim prawdopodobieństwem potwierdza istnienie pojedynczego pochówku w tym miejscu. Przybliżony rozmiar anomalii: długość ok.2mb, szerokość ok. 0.60 – 0.80mb oraz głębokość ok. 1.50m. Należy wziąć pod uwagę korzenie drzewa, które w tym przypadku zapewne zostały także zarejestrowane i są częścią anomalii widocznej na echogramie.

Obraz rzeźby terenu w przypadku pojedynczego grobu nie jest pomocny.

Nie prowadzono kwerendy zdjęć lotniczych dla tego obszaru.

Źródła

Transkrypcje

Kontakt i współpraca

Nadal poszukujemy informacji na temat tożsamości ofiar i lokalizacji żydowskich grobów w miejscowości Kolonia Dąbrowa. Jeżeli wiesz coś więcej, napisz do nas na adres mailowy: fundacjazapomniane@gmail.com.

Bibliografia

IPN BU 2448/936 Ankiety Głównej Komisji Badania Zbrodni Hitlerowskich w Polsce oraz Okręgowej Komisji Badania Zbrodni Hitlerowskich w Rzeszowie, zebrane w latach 1968-1969

Nagranie Fundacji Zapomniane [zapis audio], Jadwiga D., wnuczka Tomasza Proczka, słowa klucze: żydowski grób w Kolonii Dąbrowa; rozm. przepr. Agnieszka Nieradko, Aleksander Schwarz, Warszawa, luty 2014 r.